Strongest Global Storm: साल 2022 का सबसे ताकतवर तूफान आ रहा है तबाही मचाने, हो सकते है ये नुकसान
Haryana Update. Strongest Global Storm Of 2022 Typhoon Hinnamnor: इस साल का सबसे ताकतवर तूफान पूर्वी चीन सागर (East China Sea) के पार उमड़ रहा। यह जापान (Japan) के दक्षिणी द्वीपों के लिए खतरा बन रहा है तो चीन के पूर्वी तट पर बेकाबू हवाओं (Wild Winds) के जोखिम को बढ़ा रहा है।
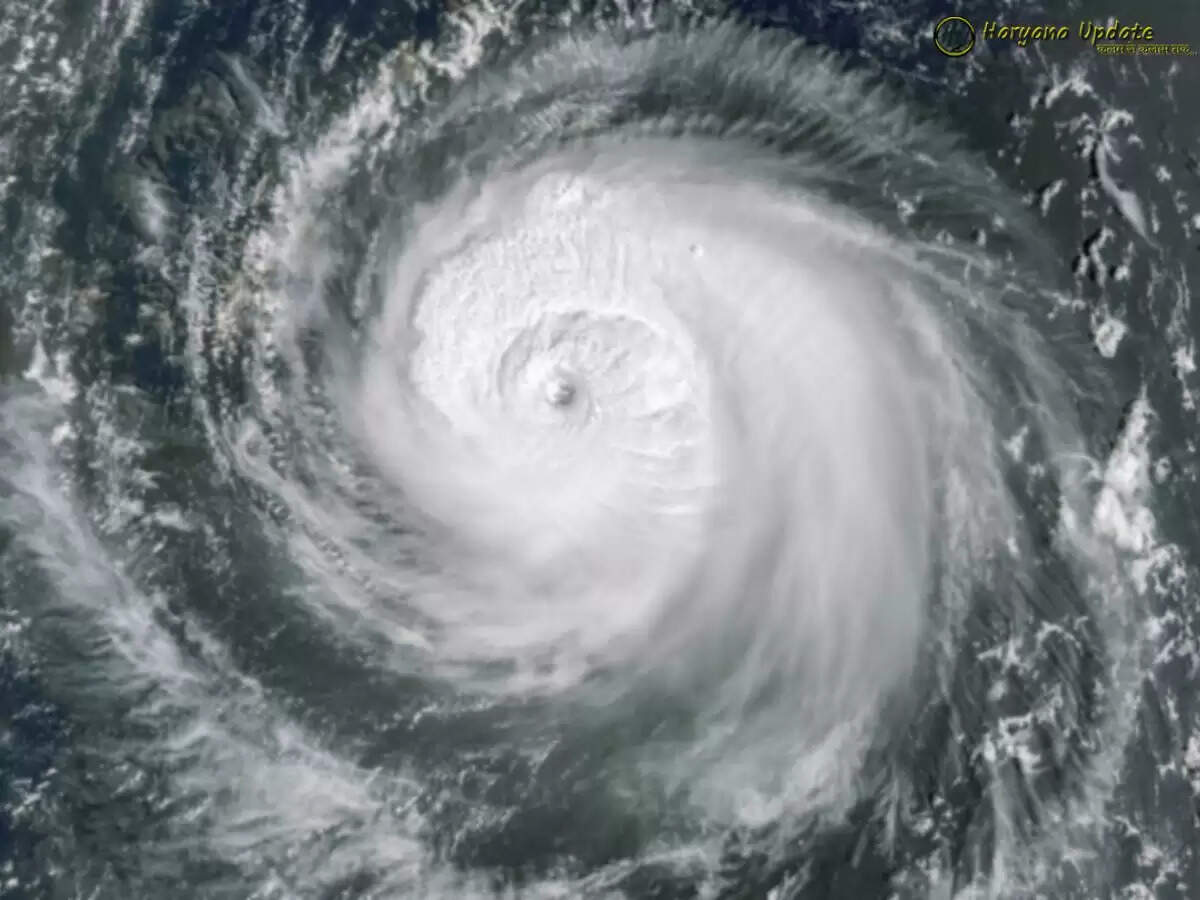
साल 2022 के इस तूफान को टाइफून हिनानोर (Typhoon Hinnamnor) नाम दिया गया है। अभी ये 257 प्रति किलोमीटर की रफ्तार से आगे बढ़ रहा है।
इसके हवा की झोकों की गति प्रति घंटा 195 मील से अधिक दर्ज की गई हैं। अमेरिका के संयुक्त टाइफून चेतावनी केंद्र ( US Joint Typhoon Warning Center) के मुताबिक इस टाइफून से समुद्र में उठने वाली लहरों की ऊंचाई अधिकतम 50 फीट या 15 मीटर तक मापी गई है।

क्या है टाइफून
टायफून समंदर के गर्म इलाक़ों से उठने वाला कम दबाव का तूफान है। अपने प्रारंभिक दौर में इसे केवल तूफान माना जाता है, लेकिन जब इसकी अंदरूनी हवाओं की रफ़्तार 120 किलोमीटर प्रतिघंटा या उससे अधिक हो तो ये टाइफून में बदल जाता है।
Also Read This News- LPG Cylinder Price: एलपीजी सिलेंडर की कीमत में भारी कटौती, जानिए अपने शहरों के दाम
कई बार इसकी सबसे अधिक रफ्तार 360 किलोमीटर प्रतिघंटा तक भी चली जाती है। पश्चिमी प्रशांत महासागर से टाइफून उठता है। यहां से उठने के बाद ये जापान, ताइवान, फिलीपींस या पूर्वी चीन की तरफ बढ़ता है।
इसके आगे जाने की स्पीड 65 किलोमीटर प्रतिघंटा होती है। एशिया का ये तूफान आमौतर पर जून से नवंबर के बीच में आता हैं। इसका सबसे अधिक खतरा अगस्त-सितंबर में होता है। ये 900 किलोमीटर से अधिक के इलाक़े पर प्रभाव छोड़ सकता है।
जापान मौसम विज्ञान एजेंसी (Japan Meteorological Agency) के एक अधिकारी के मुताबिक, इस बिंदु पर दर्ज की गई अधिकतम निरंतर हवा की गति के आधार पर हिनानोर (Hinnamnor) 2022 का सबसे ताकतवर तूफान होगा।
आने वाले दिनों में हिनानोर के कमजोर होने की संभावना
हॉन्ग कॉन्ग ऑब्जर्वेटरी (Hong Kong Observatory) ने बताया कि सुबह 10 बजे तूफान का केंद्र जापान के ओकिनावा (Okinawa) से लगभग 230 किलोमीटर पूर्व था। अनुमान लगाया जा रहा है कि ये लगभग 22 किलोमीटर प्रति घंटे की रफ्तार से पश्चिम-दक्षिण-पश्चिम की ओर रयूकू द्वीप (Ryukyu Islands) की तरफ बढ़ेगा।
यूएस के जेटीडब्ल्यूसी (JTWC) ने भविष्यवाणी की है कि आने वाले दिनों में सुपर टाइफून कुछ कमजोर पड़ सकता है। अटलांटिक (Atlantic) में चीजें कुछ हद तक शांत हैं, लेकिन 25 साल में यह पहली बार हुआ है कि तूफान के गलियारे (Hurricane Alley) के तौर पर जाने जाने वाला ये क्षेत्र शांत है।
Also Read This News- WCR train Route Changed: एक दर्जन ट्रेनों के बदले गए रूट, जानिए
दरअसल अफ्रीका (Africa) और कैरिबियन (Caribbean) के बीच इस इलाके में अगस्त का महीना तूफानी मौसम के सबसे सक्रिय चरण की शुरुआत के तौर पर जाना जाता है।
कोलोराडो स्टेट यूनिवर्सिटी (Colorado State University) के मौसमी तूफान पूर्वानुमान लिखने वाले मुख्य लेखक फिल क्लॉट्ज़बैक (Phil Klotzbach) ने कहा कि महासागर के बढ़ने यानी विस्तार का रिकॉर्ड रखने के सात दशकों से अधिक वक्त में उन्होंने केवल दो अगस्त बगैर तूफान के देखे हैं। ऐसा पहला मौका साल 1961 में और दूसरा 1997 में आया था।